Previsão do tempo
Após manhã quente, SP entra em estado de atenção para alagamentos; veja previsão para próximos dias
Após manhã com termômetros na casa dos 31,3°C, chuva forte atinge regiões da capital paulista e Grande SP
Elevação na temperatura: saiba como fica o clima em São Paulo neste fim de semana
A manhã de sábado chegou com sol e poucas nuvens na capital paulista.
VÍDEOS: Temporal alaga ruas e deixa pessoas ilhadas em casas na Grande SP; previsão é de mais chuva
Em Guarulhos, moradores estão impedidos de sair; Caieiras também foi muito afetada, onde um trecho Rodovia Tancredo Neves ficou interditado
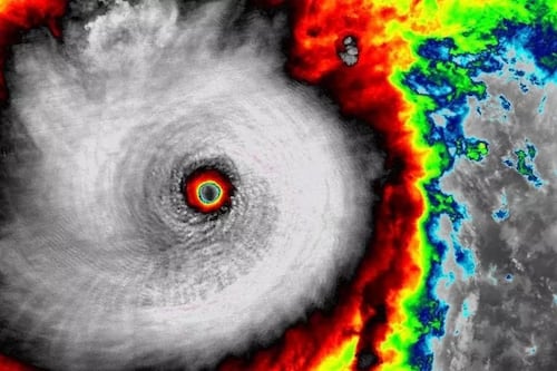
Furacão Milton perde força após atingir a Flórida com ventos de mais de 190 km/h; veja situação ao vivo
Fenômeno foi rebaixado para categoria 1 na madrugada desta quinta; há muitos estragos e até mortes, mas os números ainda não foram confirmados
VÍDEO: Transmissão online mostra avanço do furação Milton pela costa da Flórida, nos Estados Unidos; veja
Câmeras instaladas em diferentes locais mostram o mar agitado e o vento forte; moradores foram evacuados das cidades
“Se ficar, você vai morrer”: milhões de pessoas correm contra o tempo para fugir do Furacão Milton
Fenômeno alcançou a velocidade de 280 km/h e ameaça ser a pior tempestade enfrentada pelos moradores da Flórida, nos EUA
Tempo seco, poluição e proliferação de algas: saiba o que levou a água do Rio Pinheiros a ficar verde
Coloração diferente é mais visível na região de Interlagos, na Zona Sul da capital paulista; Cetesb explica o fenômeno
VÍDEOS: Ventania arrasta banhistas contra pedras no mar de Copacabana; ao menos 100 foram atendidos
Muitos dos feridos praticavam stand-up paddle quando foram arrastados pelo vento; rajadas chegaram a 70 km/h
Frio em SP: veja até quando vão as temperaturas baixas e quando volta a esquentar
Temperaturas voltam a subir no fim da semana. Veja a previsão do tempo em São Paulo para os próximos dias.
Frio ou calor? Saiba como será o termômetro no Brasil durante o mês de junho
A transição para o inverno promete chuvas e ar seco em diversas regiões.










